« PROPRIÉTÉS DE TERRAIN « ST-LIN TERRAIN

Terrains à vendre au St-Lin – Développement et opportunités d’investissement

Trouvez le terrain parfait au Québec avec Vendre.ca. Parcourez une variété d’options, incluant des terres agricoles, des lots prêts à développer et des propriétés à fort potentiel d’investissement dans des emplacements de choix. Que vous souhaitiez construire la maison de vos rêves, lancer un nouveau projet ou élargir votre portefeuille, notre plateforme vous connecte à des courtiers et vendeurs privés de confiance.

Liste Galerie
1-3 de 3 résultats
Terrain à vendre -  Route 335, St-Lin, J5M0M2
TERRAIN | LANAUDIÈRE
1,499,000 $

Route 335,
St-Lin, J5M 0M2

Vacant commercial lot of 60,000 sq. ft. located in Saint-Lin--Laurentides, offering great development potential. Perfect for various business projects thanks to its large size and strategic location in a growing community. An excellent opportunity for investors and developers seeking a versatile and well-located site. INCLUSIONS -- EXCLUSIONS --

61,464

Nouvelle annonce
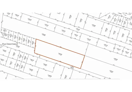
Terrain à vendre -  Rue Désormeaux, St-Lin, J5M2X8
TERRAIN | LANAUDIÈRE
1,090,000 $

Rue Désormeaux,
St-Lin, J5M 2X8

Terrain de 7 742 m² situé au bout de la rue Desormeaux à Saint-Lin--Laurentides, dans un secteur établi et recherché pour sa tranquillité et sa qualité de vie. Son emplacement en bout de rue offre intimité, faible circulation et environnement harmonieux, tout en demeurant à proximité des services, commerces et axes routiers. Une esquisse de projet sur plan, incluant des terrains voisins déjà favorables au développement, est annexée au listing, offrant une vision claire du potentiel global. Une opportunité rare pour investisseur ou promoteur à la recherche d'un terrain de grande superficie avec

7,242 m²

Terrain à vendre -  Rue Montigny, St-Lin, J5M2J2
TERRAIN | LANAUDIÈRE
89,000 $

Rue Montigny,
St-Lin, J5M 2J2

Ce terrain à prix généreux est prêt pour la construction de votre rêve dans la charmante communauté de St-Lin, dans la région attrayante de Lanaudière. Située sur la rue Montigny, cette propriété offre un mélange parfait de tranquillité et d'accessibilité. Une rare occasion d'achat à ne pas manquer dans ce secteur! Le terrain offre d'innombrables possibilités pour votre maison de rêve ou un investissement. À un prix aussi abordable, ce type d'unité est souvent recherché mais rarement trouvé sur le marché. Chaque grande histoire commence par un terrain, faites de celui-ci le vôtre!

1,858 m²